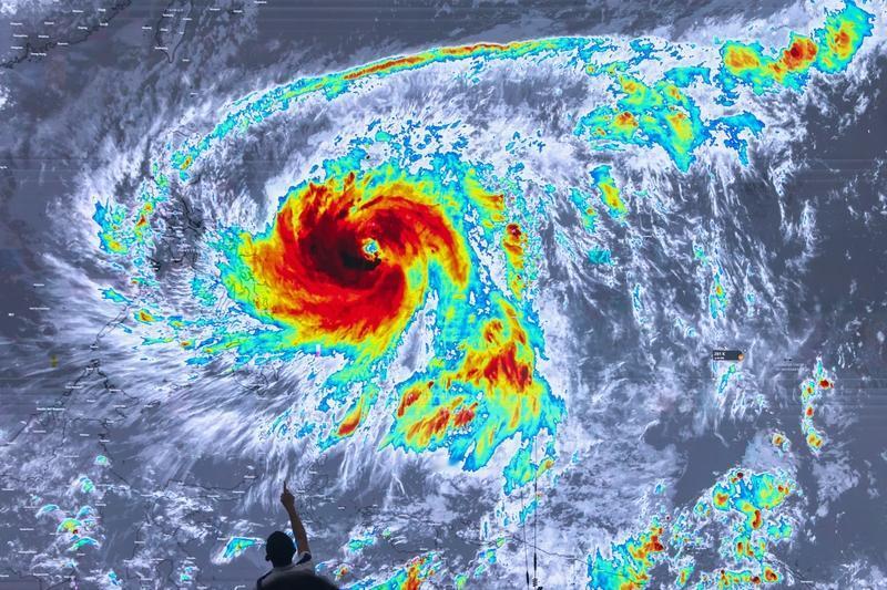
凤凰进入南海后的路径还在不断西调,11月12日贴近甚至登陆粤东闽南沿海的可能性逐渐增大!与凤凰预报路径最类似的台风是1998年10月下旬台风babs,也是贴近闽粤沿海后转向消散海峡内,闽南粤东当时遭受连续两天大暴雨、局部特大暴雨袭击,沿海风雨潮三碰头,影响丝毫不亚于正面登陆!请东南沿海的朋友下周密切关注台风动向,11月11-13日警惕狂风暴雨来袭!


凤凰进入南海后的路径还在不断西调,11月12日贴近甚至登陆粤东闽南沿海的可能性逐渐增大!与凤凰预报路径最类似的台风是1998年10月下旬台风babs,也是贴近闽粤沿海后转向消散海峡内,闽南粤东当时遭受连续两天大暴雨、局部特大暴雨袭击,沿海风雨潮三碰头,影响丝毫不亚于正面登陆!请东南沿海的朋友下周密切关注台风动向,11月11-13日警惕狂风暴雨来袭!


猜你喜欢
作者最新文章
热门分类
社会TOP
社会最新文章