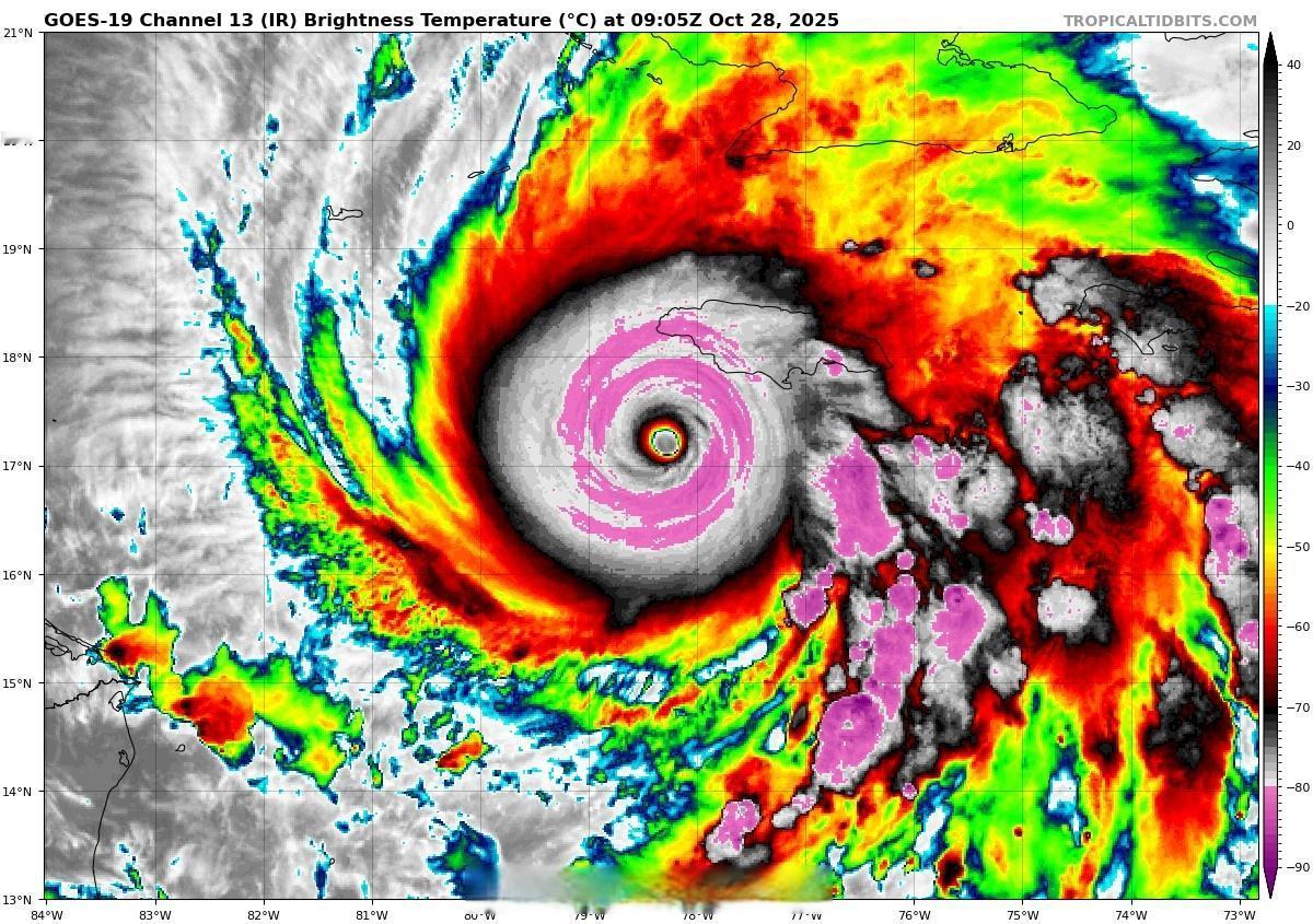
【梅利莎将在牙买加白宫附近登陆】五级飓风梅利莎已经开始加速,它即将在北京时间10月28日深夜或29日凌晨在牙买加白宫(white house)附近登陆。预计登陆时,梅利莎中心气压902百帕左右,中心附近最大风力150kt左右,将是1851年以来牙买加最强飓风,也将是西半球最强登陆飓风之一。牙买加西部有可能会被飓风夷为平地,东部将有特大暴雨,有可能出现巨灾,请当地华人朋友注意避险。

【梅利莎将在牙买加白宫附近登陆】五级飓风梅利莎已经开始加速,它即将在北京时间10月28日深夜或29日凌晨在牙买加白宫(white house)附近登陆。预计登陆时,梅利莎中心气压902百帕左右,中心附近最大风力150kt左右,将是1851年以来牙买加最强飓风,也将是西半球最强登陆飓风之一。牙买加西部有可能会被飓风夷为平地,东部将有特大暴雨,有可能出现巨灾,请当地华人朋友注意避险。

猜你喜欢
【12评论】【8点赞】
【41评论】【22点赞】
【7评论】【11点赞】
【172评论】【163点赞】
【17评论】【11点赞】
【8评论】【7点赞】
作者最新文章
热门分类
社会TOP
社会最新文章